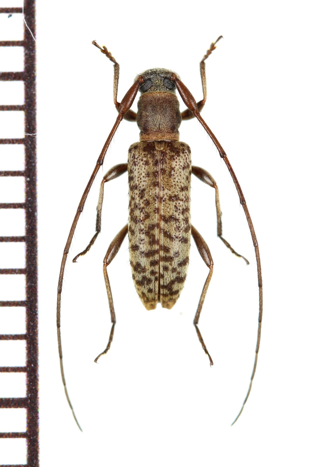
エラブモモブトトゲバカミキリ ♀ 沖永良部島 [戻る]